|
McCloud River Railroad Track Engineering Chart |
|
|
|
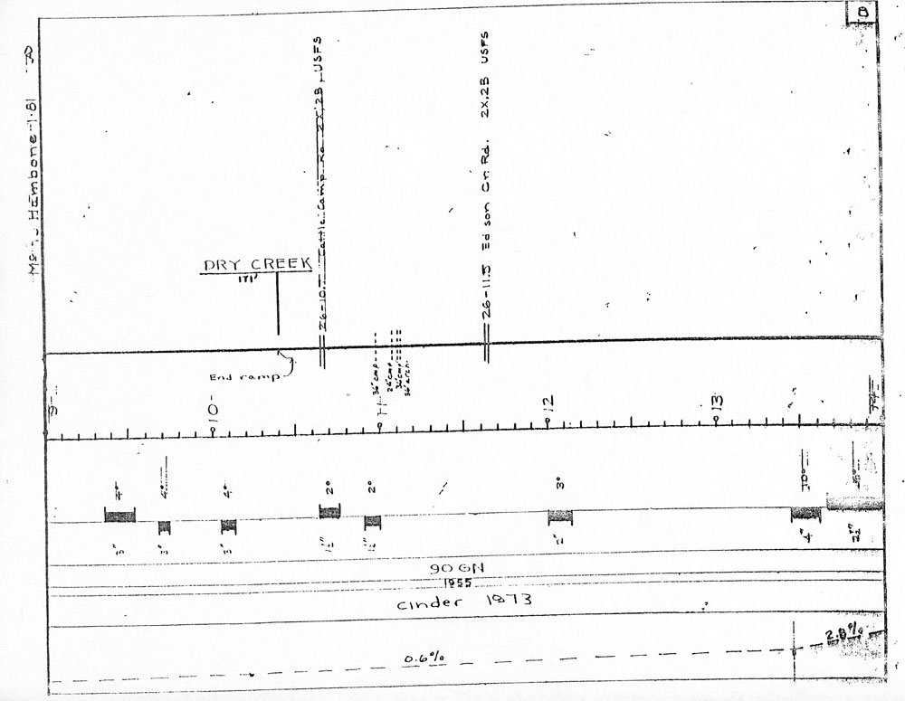
In 1981, shortly after John A. Dixon signed on with the railroad as its chief civil engineer, he created engineering profile drawings of the railroad after discovering that none apparently existed. The line of the railroad is the thick line through the middle of the page. Solid lines intersecting the railroad indicated grade crossings, with structural and ownership details on each crossing above; dotted lines indicate drainage crossings, with information on the type of crossing (culvert, bridge, etc.) above. Stations and some structures are also noted above the line. The next line below the railroad indicates mileposts, while the line below that shows the length, degrees, and direction of all curves. with amount of superelevation noted below that. Rail weight and the year the rail was layed is below that, with the last date of cinder application below that. The final item displayed across the bottom of each page is the percent and direction of grades. |
|
|
![]() |
![]() |
![]() |
![]() |
![]() |
![]() |
![]() |
![]() |
![]() |
![]() |
![]() |
![]() |
![]() |
![]() |
![]() |
![]() |
![]() |
![]() |
![]() |
![]() |
![]() |
|
|